Appartamento in Vendita
Roma - San Pietro, VIA GREGORIO VII
Desideri una soluzione di ampia metratura, con giardino privato in una delle zone più esclusive di Roma?
A pochi passi dalla Basilica e dalla Stazione, ben servito con i mezzi pubblici abbiamo l'occasione adatta per TE!
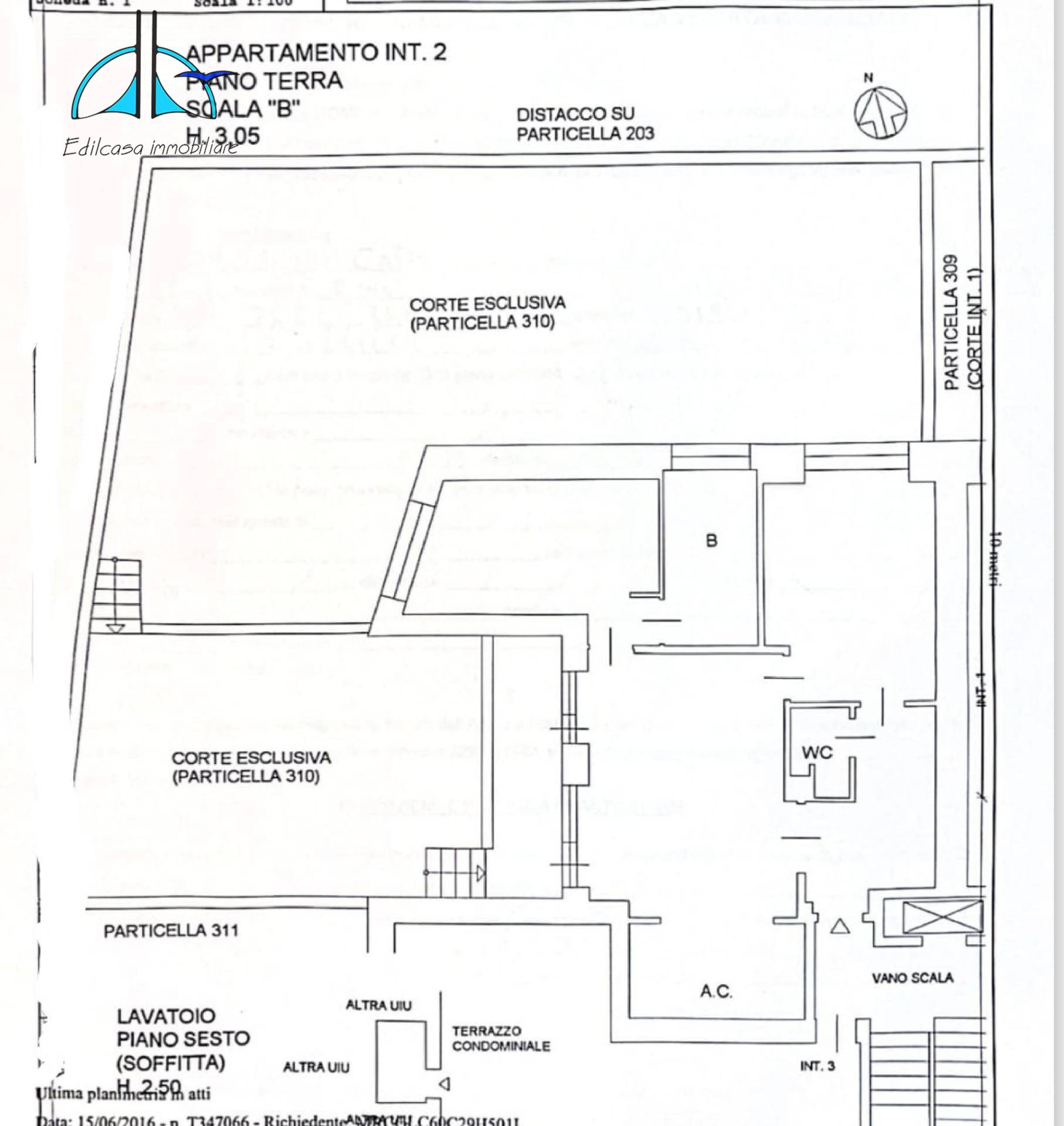
Proponiamo in Vendita elegante Appartamento posto al piano terra con giardino privato di circa 200 mq.
L'immobile si sviluppa su una superficie di circa 100 mq interni ed è composto da: luminoso soggiorno con affaccio sul giardino, cucinotto, due camere e due bagni.
Punti di forza: posizione, ampio spazio esterno, cantina esclusiva, zona residenziale con tutti i servizi nelle vicinanze, ottime rifiniture interne, riscaldamento autonomo, condizionatori caldo freddo ed infissi doppio vetro.
Per ulteriori informazioni chiamare al 3298719743 - 3928337675




















